Józsa László

Paleopathologia

Elődeink betegségei


A fogkő

A fogkő kemény, elmeszesedett képződmény, amely a fogra lerakódik, szorosan tapad, de mechanikusan eltávolítható. Összetevői ételmaradékok, levált hámsejtek, baktériumok, gombák, kalciumkarbonát és hidroxilapatit. Kisgyermekek fogain nem fordul elő, a serdülőkorban jelenik meg, előfordulása az életkorral növekszik, mennyisége egyénenként változó, a nagy nyálmirigyek beszájadzása környékén (felső őrlők, alsó metszők) leggyakoribb. A tömeges fogkő az ínyszél és paradontium gyulladásához, foginysorvadáshoz vezethet. Anyagunkban a felnőttek közel 70%-án észleltük.
 
84. ábra. Alveolitis, gennyes csontgyulladás nyomai valamennyi fog körül (nyíl)
 
85. ábra. a) Gram pozitív festődésű coccusok és pálca-baktérium (nyíl) 18. századi, idős férfi múmia fogkövében. 400× nagyítás b) Gombatelep 18. századi múmia fogkövében. PAS festés 400× nagyítás
86. ábra. Coccus (nyíl) és pálca-baktérium (görbe nyíl) múmia fogkövében SEM 2200× nagyítás.
 
87. ábra. Basidiospórás gombatestek 19. századi fogkőben SEM 4900× nagyítás
A fogkövek vizsgálatát ritkán végzik, mindössze néhány tudósítás olvasható, noha a szájüreg flórájára, a táplálék minőségére, olykor a konyhatechnikára is felvilágosítást szolgáltathat. Dr. Török Katalin fogorvossal közösen végeztük el 20 váci múmia (30-68 év közöttiek) fogköveinek mikroszkópos elemzését. Valamennyiben kimutathatók Gram pozitív és negatív pálcák, Gram pozitív coccusok, de sohasem találtunk Gram negatív coccust. Három alkalommal gombatelepek illetve gombaspórák látszottak (85. ábra, 86. ábra, 87. ábra). Ez arra utal, hogy az idők folyamán jelentősen megváltozott az emberi szájflóra, ugyanis a neandervölgyi ember fogkövében csak pálca alakú baktériumokat (Pap és mtsai 1995 és 1996), egy ősindián temető anyagában viszont kizárólag coccusokat találtak (Magennis és Cummings 1996), a recens fogkövek mikroba összetétele fajgazdagabb (Silvestrini és mtsai 1992). A 18–19. században jelenhettek meg a gombák a szájüregben (10. táblázat). Roberts és Woodward (1996) két angliai temető leletein a fogkövek ételmaradványait tanulmányozva azt állítják, hogy nem lehetett lényeges különbség a lepratelep lakóinak és a telepen kívül élőknek a táplálkozása között. Magennis és mtsa (1996) mexikói ősindián populáció fogköveiben kukorica-keményítő szemcséket, perjefű-félék maradványait, fitolithokat azonosítottak. Valamennyi esetünkben növényi rostok, kristályok és fitolithok (90. ábra), kétharmadukban búza-, kukorica-, burgonyakeményítő szemcsék (89. ábra) fordultak elő, de rizskeményítővel sohasem találkoztunk. A 18–19. században mind a kukorica, mind a burgonya fontos néptáplálék lehetett. A fogkőbe zárt kollagénrostrészletek hőkárosodást mutattak, jelezvén, hogy nem nyers (kolbász, füstölt sonka, szalonna), hanem hőkezelt (sütött, vagy főzött) ételből származnak. Izomrostokat két alkalommal találtunk, számos képletet nem tudtunk azonosítani (85. ábra, 86. ábra, 87. ábra, 88. ábra, 89. ábra, 90. ábra).
 
10. táblázat. A fogkövek mikroszkópos vizsgálatának összegzése
Alkotórész
Pozitív
Negatív
Gram pozitív
coccus 7
pálca 3
mindkettő 10
0
Gram negatív
pálca 12
coccus 0
8
20
Gombaelemek
5
15
Kristályok
8
2
Állati eredetű részek
5
15
Növényi részek
20
0
Anorganikus elemek
20
0
Sejttörmelék
20
0
 
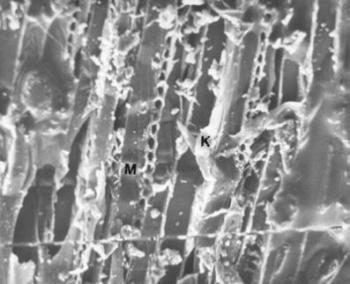
88. ábra. Fogkőbe beágyazódott hús(izom-) darabka. M= izomsejt, K= endomysialis kötőszövet. SEM 1400× nagyítás
 
89. ábra. Keményítőszemcsék. (A) 18. századi múmia fogkövében. SEM 1300× nagyítás
 

Paleopathologia

Tartalomjegyzék


Kiadó: Semmelweis Kiadó

Online megjelenés éve: 2026

ISBN: 978 963 331 721 1

Józsa László (1935) a Debreceni Orvostudományi Egyetemen végzett, majd Kecskeméten dolgozott 1968-ig. 1968–1999-ig az Országos Traumatológiai Intézet patológus főorvosa. Közben másfél évtizeden át a Tamperei Egyetem professzora. 1972-ben az Orvostudomány kandidátusa, 1980-ban akadémiai doktori minősítést szerzett. Őskórtani munkáit hosszú évtizedeken át folytatta.

A millecentenáriumra megjelent könyvében a honfoglaló és Árpád-kori népesség egészségi állapotát és betegségeit foglalta össze. Sokezer csontváz és jó néhány múmia makroszkópos és szövettani-hisztokémiai vizsgálata közben a rencens patológia legmodernebb eljárásait alkalmazta. Így sikerült enzimeket, köztiállomány alkotórészeket kimutatni egyiptomi múmia bőrében, XIX. századi múmia vesegyulladásában az immunglobulin-kicsapódást. „Amikor az egyetemen, vagy munkánk közben betegségekről tanulunk, rendszerint megismerjük annak első leíróját, megtudjuk a felfedezések időpontját, ki és mikor dolgozott ki valamiféle műtéti eljárást, vizsgálómódszert. Időnként elrévedünk: vajon mit tudhattak szakmai őseink, hogyan figyelhettek fel azokra a betegségekre, elváltozásokra, amelyek az emberiség életét már a történelem ködébe vesző évezredekben is keserítették. Ezekre, és hasonló kérdéseinkre kapunk választ Józsa László egyetemi tanár könyvében, aki évtizedeken át vizsgálta a föld mélyéből napvilágra kerülő emberi maradványokat, kórboncnokként összehasonlította a napjaink emberén kialakuló elváltozásokkal. Közben szorgalmasan gyűjtötte a kérdéssel foglalkozó világirodalmi adatokat.”

Dr. Cseplák György

A majd kétszáz fotóval gazdagon illusztrált könyv a történelem előtti vagy a későbbi korokból származó, emberi maradványokon található kóros elváltozásokkal foglalkozik. A téma éppúgy érdekli az orvost, állatorvost, őslénykutatót, régészt, antroplógust, humánbiológust vagy a történészt, történeti demográfust, múzeológust.

Hivatkozás: https://mersz.hu/jozsa-paleopathologia//

BibTeXEndNoteMendeleyZotero

Kivonat
fullscreenclose
printsave