Józsa László

Paleopathologia

Elődeink betegségei


Különleges mikroszkópos vizsgálatok (sztereomikroszkópia, polarizációs mikroszkópia, fluoreszcens mikroszkópia)

A legismertebb és legelterjedtebb fény-, (helyesebben látható fénnyel működő) mikroszkópon kívül számos egyéb típusú górcső is ismert, noha ezek alkalmazhatósága jóval korlátozottabb a hagyományos fénymikroszkópénál.
 
6. táblázat. Immunhisztokémiai azonosítás múmiaszövetekben és csontokban
Anyag
Szövet
Irodalom
Vércsoportanyagok
csont
haj
Himlő vírus
bőr
Trypanosoma Cruzi
bőr
Treponema pallidum
bőr
I,-III,-VI kollagén
csont
I,-III,-IV kollagén
bőr
Fibronectin, laminin
bőr
EMA
bőr
Cytokeratin
bőr
Desmin
vázizom, prostata
Immunglobulin (Ig A)
vese
Human milk protein
emlő
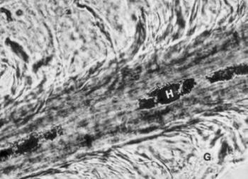
25. ábra. Gombafonalak tömege (G) egy 15–16. századi sírból előkerült hajszálon. A fénymikroszkópos kép alapján a haj gombásodására gondoltam, a postmortális pseudopathológiás elváltozást a fáziskontraszt-mikroszkópos vizsgálat derítette ki. [H=pigmentrészecske]
 
A sztereomikroszkóp térbeli képet nyújt, ezért kiválóan alkalmas felület és szerkezet vizsgálatára. Bizonyos megfigyelések (csontgerendázat architektúrája, a trajektorális és lamelláris rendszer szerkezete és kóros eltérései, kövek rétegzettsége stb.) csak sztereómikroszkóppal végezhetők el (24. ábra). Óriási előnye – nagy mélységélességen kívül – hogy a vizsgálati anyagot nem kell előkészíteni (Hall 1964), ezért a lelet károsítás nélkül áttekinthető, használatának gátat szab a korlátozott feloldó- és nagyítóképessége. Sztereómikroszkóp az un. operálómikroszkóp is, amely alkalmas a meg nem bontható csontüregek (hallójárat) vizsgálatára.
Fáziskontraszt-mikroszkópba olyan speciális megvilágító rendszert építettek, amely az egyes rétegek (fázisok) határait élesen megkülönbözteti. A paleohisztológiában nemigen használják, noha bizonyos esetekben hasznos lehet. Elsősorban a hajminták vizsgálatakor vesszük igénybe (25. ábra), annak eldöntésére, hogy in vivo keletkezett vagy post mortem létrejött gombakolonizáció-e a szőrszálon látható elváltozás?
Polarizációs mikroszkópia esetén a készítményt megvilágító fényt egyirányúsítjuk, majd a parallel futó a fénysugarakat a fény síkjára merőlegesen helyezett optikai ráccsal kiszűrjük. A polarizátor (a fénysugarakat egyenirányító optikai szerkezet) és az analizátor (optikai rács) helyes beállításakor a látótér teljesen sötét. Ha a polarizátor és analizátor közé olyan rendezett szerkezetű anyagot (pl. kristályok, kollagén rostok stb.) helyezünk, amelyen áthaladva az egyenirányított fény megtörik, akkor az analizátor ezt a fényt már nem tudja kioltani és a látótérben, sötét alapon, élénk, fénylő kép formájában megjelenik a rendezett szerkezetű szöveti alkotórész (16. ábra, 26. ábra). Az anorganikus (mészkristályok) és organikus (húgysav, oxalát) kristályok, vagy biológiai struktúrák (kollagénrostok) a polarizált fényt különböző mértékben térítik el. Ezt az „útkülönbséget” az analizátor és polarizátor közé iktatott kompenzátorral mérni lehet. Polarizációs mikroszkópiára valamennyi fénymikroszkóp könnyen átalakítható, az olcsón beszerezhető analizátor és polarizátor beépítésével. Éppen ezért érthetetlen, hogy a paleohisztológiában még ott sem használják, ahol a mikroszkópos és szövettani vizsgálatok lehetőségei adottak. A rendezett biológiai struktúrák kettős törését festési eljárásokkal (pikroszíriusz, toluidinkék, rivanol stb.), vagy színtelen kémiai anyagokkal (anilin, fenol) felerősíthetjük, ezáltal az útkülönbség jobban mérhetővé válik [Józsa és Fóthi 2002].
A polarizációs mikroszkópia lehetőségei és használhatósága az őskórtanban is szinte korlátlanok. A különböző kristályok (apatit, oxalát, húgysav), az óriásmolekulák (keményítőszemcsék), növényi részek (cellulóz, lignin), féregpeték, gombafonalak felismerésére és azonosítására kiválóan alkalmas. Ásatag csontokon a kollagén szerkezete, a kóros csontképződmények és struktúrák, múmiák szöveteiben hegek, sarjadzások, idegenanyag-lerakódások, haj, szaruképletek vizsgálatára használható (Schultz 1986, 1993). Megfelelő reakciókkal (rivanol, anilin, fenol, toluidinkék precipitációs festés) és mérésekkel a kollagén molekula kémiai eltérései (szulfatáltság, hidroxiláltság stb.) minőségileg és mennyiségileg is meghatározhatók.
 
26. ábra. Dekalcinálatlan, műgyantába ágyazott csontdaganat polármikroszkópos képén jól látszik a tumor kóros kollagén-szerkezete. Pikrosziriusz festés, 200× nagyítás
 
27. ábra. Rendszertelen harántcsíkolat a redellenes szervezettségű kollagén fibrillumban. Osteogenesis imperfecta. 30 év körüli férfi, 10-12 század. TEM 35000× nagyítás
 
Fluoreszcens mikroszkópia alkalmával a vizsgálandó objektumot ibolyántúli fénnyel világítjuk meg, s ennek hatására, vagy az anyag szerkezete miatt (autofluoreszcencia), vagy megfelelő festéssel, látható fényben mutatkozik a preparátum. Az autofluoreszcencia kimutatását a csontok kronológiai korának megállapítására használják, a fluoreszcens szinezékek alkalmazásával olyan struktúrák is megjeleníthetők, amelyek fénymikroszkópban nem látszanak. A sejtmagok kivételesen festődnek, ha azonban a metszeteket fluoreszcens festékekkel, [akridin orange-zsal (Zheng és mtsai 1981), vagy ethidium bromiddal (Pääbo 1985) stb.) kezelik, akkor nagy többségük feltüntethető, s még a Pompeiben feltárt csontok nucleusait is sikerült kimutatni (Cippolaro és mtsai 1998, Guarino és mtsai 2000). Flow citometriával pedig a sejtciklus G/1, G/2 és M fázisai nyomon követhetők több ezer éves csontokban és múmiákban (Cook 1993). Az immunhisztokémiai reakciók lokalizálására olykor a fluoreszcens technikát veszik igénybe, a szekunder antitestet fluoreszcens festékkel, általában fluoreszceinizotiocianáttal (FITC), vagy rodaminnal jelzik. Immunfluoreszcens módszerrel végezte vércsoport-meghatározásait Lengyel Imre (1975) és ugyanezzel kórokozó-kimutatásait a Fornaciari vezette munkacsoport (1989, 1990). A paleohisztológia más területein alkalmazása korlátozott.
Az infravörös, lézer (konfokális), röntgensugárral dolgozó és az ultrahangos mikroszkópia az őskórtani vizsgálatokban eddig nem nyert polgárjogot. A képanalizáztor olyan komputerizált műszer, amely a mikroszkópos kép alapján quantitatív értékeket szolgáltat. Vázanyagon meghatározható a csont és velőüreg térfogatának aránya, az egységnyi területen (térfogaton) belüli szövetmennyiség, a szivacsos állomány trabeculáinak méretei, nagyság szerinti megoszlásuk és még egy sor egyéb paraméter. A múmiaszöveteken quantitatív hisztológiai megfigyelésekre (pl. az izom és kötőszövet aránya, érfalban a meszes területek részesedése, rostvastagság eloszlás stb.) alkalmazható. Ezzel a műszerrel állapítottuk meg, hogy enthesopathia esetén az egységnyi csontterületen belül 8–10-szeresére emelkedik a tapadási felület. Poroticus hyperostosisban a diploe üregek volumene többszörösére növekszik (Józsa és Pap 1991 és 1997). A berendezés mind a recens, mind a paleohisztológiába most kezd bevonulni, alkalmazási területei még nem körvonalazódtak pontosan.
 
28. ábra. Az extensor hallucis longus ín kollagén szerkezete. 19 századi, 44 éves férfi múmiájából. TEM 6600× nagyítás
 

Paleopathologia

Tartalomjegyzék


Kiadó: Semmelweis Kiadó

Online megjelenés éve: 2026

ISBN: 978 963 331 721 1

Józsa László (1935) a Debreceni Orvostudományi Egyetemen végzett, majd Kecskeméten dolgozott 1968-ig. 1968–1999-ig az Országos Traumatológiai Intézet patológus főorvosa. Közben másfél évtizeden át a Tamperei Egyetem professzora. 1972-ben az Orvostudomány kandidátusa, 1980-ban akadémiai doktori minősítést szerzett. Őskórtani munkáit hosszú évtizedeken át folytatta.

A millecentenáriumra megjelent könyvében a honfoglaló és Árpád-kori népesség egészségi állapotát és betegségeit foglalta össze. Sokezer csontváz és jó néhány múmia makroszkópos és szövettani-hisztokémiai vizsgálata közben a rencens patológia legmodernebb eljárásait alkalmazta. Így sikerült enzimeket, köztiállomány alkotórészeket kimutatni egyiptomi múmia bőrében, XIX. századi múmia vesegyulladásában az immunglobulin-kicsapódást. „Amikor az egyetemen, vagy munkánk közben betegségekről tanulunk, rendszerint megismerjük annak első leíróját, megtudjuk a felfedezések időpontját, ki és mikor dolgozott ki valamiféle műtéti eljárást, vizsgálómódszert. Időnként elrévedünk: vajon mit tudhattak szakmai őseink, hogyan figyelhettek fel azokra a betegségekre, elváltozásokra, amelyek az emberiség életét már a történelem ködébe vesző évezredekben is keserítették. Ezekre, és hasonló kérdéseinkre kapunk választ Józsa László egyetemi tanár könyvében, aki évtizedeken át vizsgálta a föld mélyéből napvilágra kerülő emberi maradványokat, kórboncnokként összehasonlította a napjaink emberén kialakuló elváltozásokkal. Közben szorgalmasan gyűjtötte a kérdéssel foglalkozó világirodalmi adatokat.”

Dr. Cseplák György

A majd kétszáz fotóval gazdagon illusztrált könyv a történelem előtti vagy a későbbi korokból származó, emberi maradványokon található kóros elváltozásokkal foglalkozik. A téma éppúgy érdekli az orvost, állatorvost, őslénykutatót, régészt, antroplógust, humánbiológust vagy a történészt, történeti demográfust, múzeológust.

Hivatkozás: https://mersz.hu/jozsa-paleopathologia//

BibTeXEndNoteMendeleyZotero

Kivonat
fullscreenclose
printsave